Коллекция Тохиной
Модератор: Влад Пулика
-
Marishka
- Местный
- Сообщения: 304
- Зарегистрирован: 26 янв 2016, 00:16
- Награды: 1
- Откуда: Николаев
- Зовут: Марина
- Благодарил (а): 1430 раз
- Поблагодарили: 722 раза
Re: Коллекция Тохиной
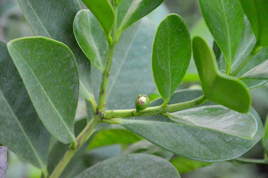
Вот этот пестролистный апельсин мне покоя не дает, как же его зовут? Он есть на первой странице моей темы (тот который дерево-сад, низ чинотто, верх этот апельсин) Сначала растил листья с еле заметной вариегатностью. Сейчас на одной ветке листья выросли как раньше а на другой прям нормально вариегатные, и на нем уже есть одна завязь. Надеюсь он вырастит хоть один плод и мы таки узнаем кто же это))
Последний раз редактировалось Marishka 18 июл 2016, 01:06, всего редактировалось 1 раз.
-
Marishka
- Местный
- Сообщения: 304
- Зарегистрирован: 26 янв 2016, 00:16
- Награды: 1
- Откуда: Николаев
- Зовут: Марина
- Благодарил (а): 1430 раз
- Поблагодарили: 722 раза
Re: Коллекция Тохиной
А теперь расскажу о кумквате Meiwa)
Весной от главного администратора этого форума Сергея мне пришел черенок кумквата мейва. Я разделила этот черенок на 2 части и привила на выращенные из косточек апельсин и лимон. Специально пишу так подробно чтоб было понятно что 2 прививки сделаны с одного черенка)) Так вот, та прививка что на лимоне (фото1) растит нормальные мейвовые листики, а та что на апельсине, растет как будто это совершенно другой сорт) Никогда бы не подумала что подвой имеет такое сильное влияние даже на форму листьев) Сейчас они растут рядышком в огороде в совершенно одинаковых условиях. Подсыпала им осмокот и регулярно поливаю, и с весны это уже третий прирост на этих прививках)) Будем и дальше наблюдать за развитием этих малышей

-
ahota05
- Модератор
- Сообщения: 3517
- Зарегистрирован: 16 дек 2014, 15:29
- Награды: 4
- Откуда: Никополь
- Зовут: Антон
- Благодарил (а): 3940 раз
- Поблагодарили: 3378 раз
Re: Коллекция Тохиной
Марина, очень интересно, обязательно в конце сезона продублируйте пожалуйста их свежие фото...!!!
Докатились...
-
Marishka
- Местный
- Сообщения: 304
- Зарегистрирован: 26 янв 2016, 00:16
- Награды: 1
- Откуда: Николаев
- Зовут: Марина
- Благодарил (а): 1430 раз
- Поблагодарили: 722 раза
Re: Коллекция Тохиной
Вот Вам свежие фото)) Извините за бардак во дворе
Фингерлаймы подросли)
Кумкват фукуши в прошлое цветение цвел пустоцветами, завязалось только 2 плода, и сейчас опять собрался цвести. Хлорозит((
Каламондин переделанный в дерево сад, был очень хлорозный, пересадила в новый грунт с кокосовым субстратом и он начал отрастать красивыми листьями)
Фингерлаймы подросли)
Кумкват фукуши в прошлое цветение цвел пустоцветами, завязалось только 2 плода, и сейчас опять собрался цвести. Хлорозит((
Каламондин переделанный в дерево сад, был очень хлорозный, пересадила в новый грунт с кокосовым субстратом и он начал отрастать красивыми листьями)
-
Marishka
- Местный
- Сообщения: 304
- Зарегистрирован: 26 янв 2016, 00:16
- Награды: 1
- Откуда: Николаев
- Зовут: Марина
- Благодарил (а): 1430 раз
- Поблагодарили: 722 раза
Re: Коллекция Тохиной
Мурайка растет, завязала много плодов и еще куча бутонов будет)
Кафрский лайм растет в ширь)
Мейер растит свои первые плоды.
Кафрский лайм растет в ширь)
Мейер растит свои первые плоды.
-
Marishka
- Местный
- Сообщения: 304
- Зарегистрирован: 26 янв 2016, 00:16
- Награды: 1
- Откуда: Николаев
- Зовут: Марина
- Благодарил (а): 1430 раз
- Поблагодарили: 722 раза
Re: Коллекция Тохиной
Оказывается на нескольких нижних ветках моего инжира все же есть плоды, надеюсь успеют дозреть)
Вот так изменились кофейные кусты за сезон
Псидиум тоже растит плоды и еще выдал бутончик, прелесть моя
Вот так изменились кофейные кусты за сезон
Псидиум тоже растит плоды и еще выдал бутончик, прелесть моя
-
Marishka
- Местный
- Сообщения: 304
- Зарегистрирован: 26 янв 2016, 00:16
- Награды: 1
- Откуда: Николаев
- Зовут: Марина
- Благодарил (а): 1430 раз
- Поблагодарили: 722 раза
Re: Коллекция Тохиной
Лаймкват Юстис)
Мушмула
Еще одна из моих гуайяв)
Каналикулаты, прививкам 2 года. Черенки от Танюши Кузьмук
Мушмула
Еще одна из моих гуайяв)
Каналикулаты, прививкам 2 года. Черенки от Танюши Кузьмук
Последний раз редактировалось Marishka 11 авг 2016, 11:00, всего редактировалось 1 раз.
-
Marishka
- Местный
- Сообщения: 304
- Зарегистрирован: 26 янв 2016, 00:16
- Награды: 1
- Откуда: Николаев
- Зовут: Марина
- Благодарил (а): 1430 раз
- Поблагодарили: 722 раза
Re: Коллекция Тохиной
А это мои новенькие малыши от Евгения (zirtone) Апельсин фрагола, клементин греческий, триплоид реале и папайка)) Фрагола и реале уже растут, а клементин пока спит)) Папайя тоже растет) Очень довольна новичками
-
Таня
- Супермодератор
- Сообщения: 1855
- Зарегистрирован: 16 дек 2014, 18:40
- Награды: 5
- Откуда: г. Запорожье
- Зовут: Татьяна
- Благодарил (а): 2328 раз
- Поблагодарили: 8361 раз
Re: Коллекция Тохиной
Хорошенький цитрусовый и прочей экзотики сад намечен !!! Молодец!!!!)))))
И большие цитрусы о молоденькие - выглядят очень хорошо
Я наверно что то упустила, а где все живет то в зимнее время?
И большие цитрусы о молоденькие - выглядят очень хорошо
Я наверно что то упустила, а где все живет то в зимнее время?
Птицы наделены неким загадочным чувством, которое позволяет им безошибочно распознавать только что вымытую машину.

Кто сейчас на конференции
Сейчас этот форум просматривают: нет зарегистрированных пользователей и 10 гостей